N/a Lahey Road Centre Hastings, Ontario K0K 2K0
Acreage
$275,000
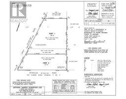
How do you turn one building parcel into 2? Build on the first lot then the approvals are in place for a a severenace so you can build again, or maybe have a family member next doo. 4.47 acres, 2 new drilled wells in place plus a new survey. Open building area backing onto a treeline. Located 5 minutes from Madoc on a hardtop road, hydro available at road and close to the Heritage Trail. Moira Lake is a stone's throw away and public boat launch at Reynolds Lane is ready and waiting. **EXTRAS** A new PIN number and roll number will be provided on closing (id:47351)
Property Details
| MLS® Number | X12971142 |
| Property Type | Vacant Land |
| Community Name | Centre Hastings |
| Features | Irregular Lot Size |
Building
Land
| Acreage | Yes |
| Size Depth | 551 Ft ,1 In |
| Size Frontage | 452 Ft ,5 In |
| Size Irregular | 452.49 X 551.14 Ft |
| Size Total Text | 452.49 X 551.14 Ft|2 - 4.99 Acres |
Utilities
| Electricity | Available |
https://www.realtor.ca/real-estate/29572503/na-lahey-road-centre-hastings-centre-hastings















