$195,000
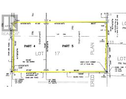
An exceptional opportunity to secure one of only a few currently on market R1-zoned buildable city lots in Belleville's east end neighbourhoods. This property is well suited for a thoughtfully designed single-family home or multi-family. Located just minutes from Highway 401, the property provides seamless access for commuters, with Toronto approximately 2.5 hours west. The Hospital, shopping, dining, and everyday amenities are close by. This property represents a compelling blend of location, zoning, and growth potential. Opportunities like this are increasingly rare. Property is located beside 71 Stanley Street. (id:47351)
Property Details
|
MLS® Number
|
X12911536 |
|
Property Type
|
Vacant Land |
|
Community Name
|
Belleville Ward |
Building
Land
|
Acreage
|
No |
|
Size Depth
|
131 Ft |
|
Size Frontage
|
71 Ft ,1 In |
|
Size Irregular
|
71.09 X 131 Ft |
|
Size Total Text
|
71.09 X 131 Ft|under 1/2 Acre |
|
Zoning Description
|
R1 |
Utilities
|
Cable
|
Available |
|
Electricity
|
Available |
|
Sewer
|
Available |
https://www.realtor.ca/real-estate/29505097/beside-71-stanley-street-belleville-belleville-ward-belleville-ward