$81,900
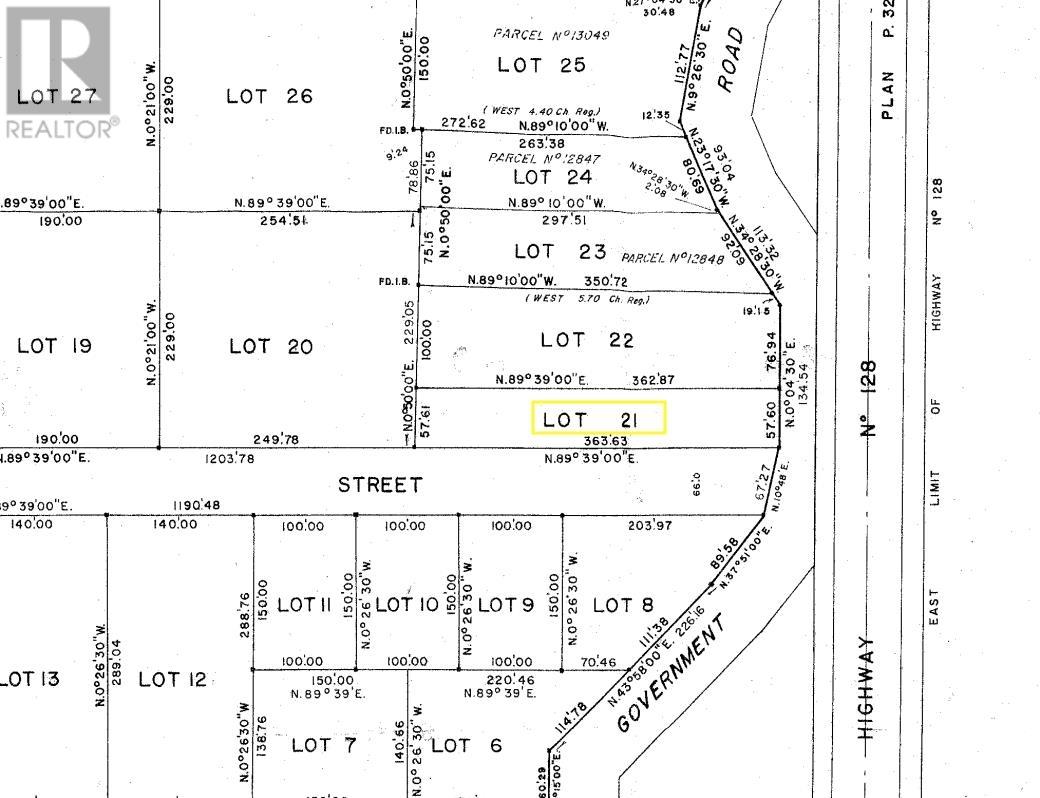
Build here! Set on a level, oversized lot, this property offers the perfect blend of space, convenience, and potential. Ideally located within comfortable driving distance to town and the sought-after Rabbit Lake area, it’s an excellent option for those looking to build while staying connected to town. The lot is development ready and features a gravel driveway, with hydro on site. A shed on the property includes 200-amp electrical service, adding immediate value and flexibility. Please note that city sewer is not available in this location of town, a septic field would be required. Enjoy a prime location close to the Rideout Rink, Rabbit Lake, the transfer station, The Log Cabin Tavern, and quick access to town and the Kenora Bypass. Whether you’re planning now or investing for the future, this property offers outstanding opportunity in a well-connected setting. Lot Size: 57.61 ft x 363.50 ft Zoning: R1 Taxes: $481.78 for 2025 Possession: Negotiable (id:47351)
Property Details
|
MLS® Number
|
TB2600043 |
|
Property Type
|
Vacant Land |
|
Community Name
|
KENORA |
Building
Land
|
Access Type
|
Road Access |
|
Acreage
|
No |
|
Size Depth
|
360 Ft |
|
Size Frontage
|
57.6100 |
|
Size Total Text
|
Under 1/2 Acre |
Utilities
https://www.realtor.ca/real-estate/29240839/436-mellick-avenue-kenora-kenora