$725,000
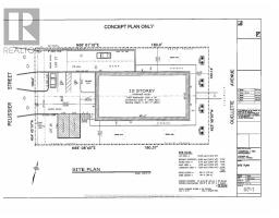
Prime development property in Downtown Windsor with 2 road frontages. Mixed use zoning which permits a range of commercial, office and residential uses. Development process was commenced for a 10-storey mixed residential commercial building. Close to Windsor/Detroit USA tunnel, hospital, university and transit. Being sold by mortgagee, no representation or warranties. (id:47351)
Business
|
Business Type
|
Residential |
|
Business Sub Type
|
Residential |
Property Details
|
MLS® Number
|
X12331042 |
|
Property Type
|
Vacant Land |
|
Community Name
|
Windsor |
Building
|
Utility Water
|
Municipal Water |
Land
|
Acreage
|
No |
|
Size Depth
|
180 Ft |
|
Size Frontage
|
100 Ft |
|
Size Irregular
|
0.41 |
|
Size Total
|
0.41 Ac |
|
Size Total Text
|
0.41 Ac |
|
Zoning Description
|
Commercial District (cd 3.5) |
https://www.realtor.ca/real-estate/28704482/1567-ouellette-avenue-windsor-windsor