14 Greengage Road Clearview, Ontario L0M 1N0
3 Acres
None
No Heat
Acreage
$1,996,000
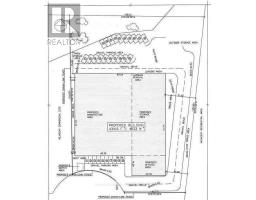
2.56 Acres Of Land With Industrial Zoning Includes Food Processing Establishment, Bakeries, Dairy Products Plant, Wineries, Breweries, Warehouses, Assembly Halls, Towing Compound, Adult Entertainment Business, Sawmill, Lumber Yard And More. Pre-Consultation Schematic Building Plan Up To 43,000 Sq Ft., Height Of Principal Building 18 M. Municipal Water, Hydro And Gas On Line! Short Access To Hwy 400! Close To Barrie! / Attention! 0.14 Acres Of Land Are Environment Protection Restrictions Do Not Allow Construction, Outside Storage or Parking, Blue Colour In The Picture #1/. (id:47351)
Property Details
| MLS® Number | S12934362 |
| Property Type | Industrial |
| Community Name | New Lowell |
Building
| Cooling Type | None |
| Heating Type | No Heat |
| Size Interior | 3 Acres |
| Utility Water | Municipal Water |
Land
| Acreage | Yes |
| Size Depth | 392 Ft ,2 In |
| Size Frontage | 284 Ft ,3 In |
| Size Irregular | 2.56 |
| Size Total | 2.56 Ac |
| Size Total Text | 2.56 Ac |
| Zoning Description | Industrial Mr-4 |
https://www.realtor.ca/real-estate/29531604/14-greengage-road-clearview-new-lowell-new-lowell









