$399,900
LOOKING TO BUILD YOUR DREAM HOME? HERE IS YOUR RARE OPPORTUNITY TO PURCHASE A NORTH END LOT, ONE OF 2 AVAILABLE, SURROUNDED BY MATURE TREES BACKING ONTO WOODLAND PARK IN A HIGHLY DESIRABLE NEIGHBOURHOOD CLOSE TO SHOPPING, BEACH, SCHOOLS, ETC. FULLY SERVICED TO LOT LINE, HST IS INCLUDED. BUILDING PLANS ARE AVAILABLE.WHETHER YOU ARE A GROWING FAMILY OR DOWNSIZING TO ONE FLOOR LIVING,WHY NOT BUILD YOUR OWN CUSTOM HOME? THE SELLER IS RELATED TO ONE OF THE LISTING AGENTS. TAXES AND ASSESSMENT NOT SET. (id:47351)
Property Details
|
MLS® Number
|
X12673146 |
|
Property Type
|
Vacant Land |
|
Community Name
|
Sarnia |
Building
Land
|
Acreage
|
No |
|
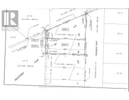
Size Depth
|
130 Ft ,3 In |
|
Size Frontage
|
84 Ft ,9 In |
|
Size Irregular
|
84.8 X 130.33 Ft ; 1.11 X 143.91 X 24.01 X 130.33 X 84.28 |
|
Size Total Text
|
84.8 X 130.33 Ft ; 1.11 X 143.91 X 24.01 X 130.33 X 84.28|under 1/2 Acre |
Utilities
|
Cable
|
Available |
|
Electricity
|
Available |
|
Sewer
|
Available |
https://www.realtor.ca/real-estate/29225937/1307-n-ridgewood-drive-sarnia-sarnia